Je zázrak, že Vyšehradský most ještě slouží, ale doba Franze Josefa je pryč a sentiment by měl jít stranou, kritizuje expert rekonstrukci
Už 125 let spojuje pražský Smíchov s Výtoní. Vyšehradský most je panoramatickou dominantou hlavního ...
Už 125 let spojuje pražský Smíchov s Výtoní. Vyšehradský most je panoramatickou dominantou hlavního ...
Prezident vyzval obyvateľstvo Kuby na ostražitosť. Príspevok Hlásia najmenej 10 mŕtvych, po nezvestn...
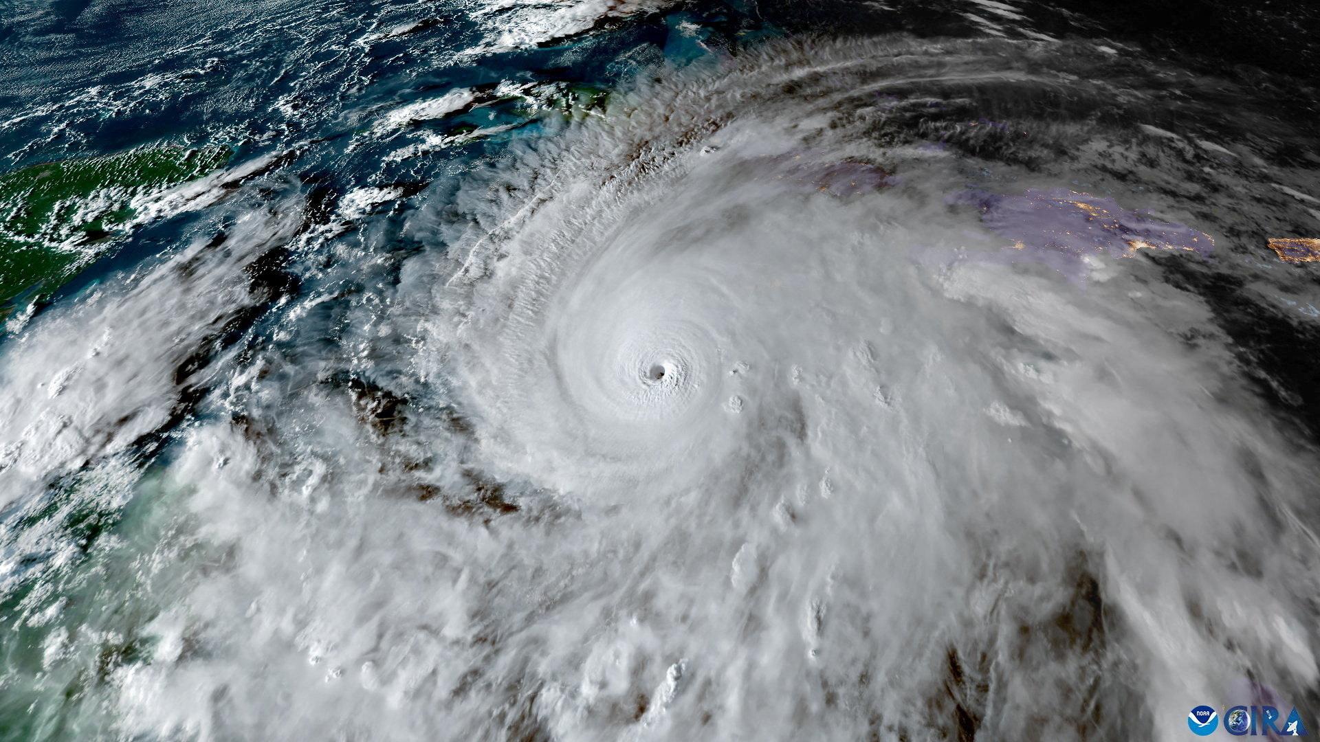
Severní Karibik se potýká s hurikánem Melissa, který je jedním z nejsilnějších v historii. Jak tento...
Při rozsáhlé policejní operaci ve favelách v Riu de Janeiru zemřelo nejméně 64 lidí, z toho čtyři po...
Při úterní policejní operaci v Riu de Janeiro zemřelo 132 lidí, informoval úřad veřejného ochránce p...
Při úterní policejní operaci v Riu de Janeiro zemřelo 132 lidí, informoval úřad veřejného ochránce p...
Úrady evakuovali státisíce ľudí....
Hurikán Melissa, který už v několika karibských zemích zabil deset lidí a způsobil škody naposledy n...
...
Jamajkou se prohnala Melissa, podle odhadů nejsilnější hurikán za posledních sto let. Vichr dosahova...
Povodně ve středním Vietnamu si vyžádaly už nejméně deset životů a další lidé jsou pohřešovaní. Žive...
Vládni predstavitelia na stredajšom zasadnutí v regiónoch priniesli voličom pozitívne správy. Tentor...
Americký výrobce letadel a letecké techniky Boeing ve třetím čtvrtletí snížil čistou ztrátu na 5,34 ...
Ako sa oceány otepľujú, vytvárajú podmienky, ktoré umožňujú hurikánom rýchlu intenzifikáciu – keď sa...
Zatímco se Česko chystalo na svůj státní svátek, v Karibiku bednili výlohy a připravovali se na evak...
JAMAJKA -Speváčka Leigh-Anne Pinnock z bývalej dievčenskej skupiny Little Mix prežíva ťažké chvíle. ...
Tunel Višňové je tesne pred dokončením Úsek Lietavská Lúčka - Dubná Skala by mal byť sprejazdnený do...
Hurikán Melissa s rychlostí větru přes 200 km/hod. drtí Kubu poté, co zanechal spoušť na Jamajce....
Rozhovory mezi Pákistánem a Afghánistánem o trvalém příměří selhaly. Podle agentury AFP to oznámil I...
Rýchlosť vetra dosahovala 195 kilometrov za hodinu....
Ještě před úderem Melissy na pevninu úřady zaznamenaly sesuvy půdy či popadané stromy. Ostrov násled...
Lávky pod mostom sú opäť k dispozícii peším a cyklistom....
Podle údajů Archivního oddělení městské rady v Buči zemřelo během ruské okupace celkem 554 civilistů...
Celý svět v úterý 28. října bedlivě sledoval, zda se naplní katastrofické scénáře meteorologů a huri...
Ako to vyzerá v oku hurikánu?...
Na Jamajku včera udeřil hurikán Melissa. Provázely ho silné srážky a poryvy větru o rychlosti až 30...
Další čtyři oběti hlásí Jamajka a Dominikánská republika. Melissa na Jamajku udeřila jako hurikán ne...
Hurikán mal silu kategórie 5....
Lietajú strechy, padajú stromy. Desivý hurikán Melissa naďalej devastuje Jamajku. Jeden z najsilnejš...
Přes Jamajku se přehnal hurikán Melissa. Nejsilnější bouře, jaká kdy karibský ostrovní stát za dobu ...