Hurikán Melissa, nejhorší za století. Hrozí bleskové záplavy a sesuvy půdy
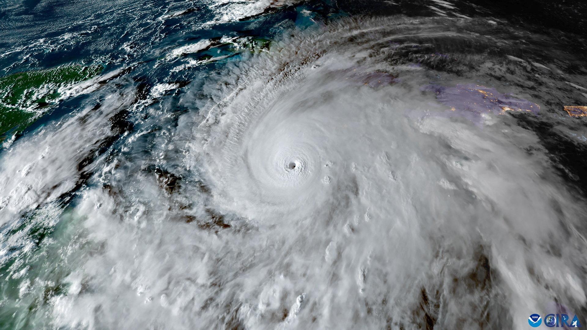
Hurikán Melissa bude podle Světové meteorologické organizace (WMO) nejhorší, který postihl Jamajku ...
Hurikán Melissa bude podle Světové meteorologické organizace (WMO) nejhorší, který postihl Jamajku ...
Při úterní nehodě malého letadla v jižní Keni zahynulo všech 11 lidí na palubě. Z toho dva byli z Ně...
Na skládce u Litvínova na Mostecku hoří od rána hromada štěpky, hasiči vyhlásili třetí ze čtyř stupň...
„Zatracení Ukrajinci odpálili přehradu,“ stěžují si ruští vojáci, jejichž zákopy a technika v Belgor...
Hurikán Melissa bude podle Světové meteorologické organizace nejhorší, který postihl Jamajku za posl...
Extrémne rýchlo zosilnel a takmer sa nehýbe. Jamajku zasiahne Melissa, najsilnejší hurikán v dejinác...
Hurikán Melissa si na Jamajke vyžiadal prvé obete....
Hurikán podle Červeného kříže postihne minimálně 1,5 milionu lidí....
Obyvatelia ostrovného štátu sa na príchod hurikánu pripravujú už niekoľko dní a vo viacerých oblasti...
Na Jamajke sa očakáva katastrofa: čelí najhoršiemu hurikánu za posledné storočie. Podľa Červeného kr...
Od roku 2018 župa opravila 95 mostov....
Hurikán Melissa bude podľa Svetovej meteorologickej organizácie (WMO) najhorší, ktorý postihol Jamaj...
Jamajka sa chystá na katastrofickú situáciu. Severným Karibikom sa totiž rúti hurikán najsilnejšej p...
Jamajka sa chystá na katastrofickú situáciu. Severným Karibikom sa totiž rúti hurikán najsilnejšej p...
Jamajka sa chystá na katastrofickú situáciu. Severným Karibikom sa totiž rúti hurikán najsilnejšej p...
Jamajka sa chystá na extrémne katastrofickú situáciu. Severným Karibikom sa totiž rúti hurikán najsi...
Práce trvali necelý rok....
Najsilnejšia búrka sveta tento rok priniesla vietor, ktorý trhá strechy a zatápa celé mestá. Príspev...
Americká armáda natočila průlet okem hurikánu 5. Jedinečné záběry z průletu okem hurikánu Melissa se...
VIDEO: Vědci proletěli okem hurikánu Melissa, zveřejnili unikátní záběry. Na Jamajku se řítí hurikán...
Dětem zpříjemňují podzimní prázdniny i příměstské tábory. Některé děti vyrazily na podzimní prázdnin...
Silniční obchvat kolem městečka Plasy, modernizace a elektrifikace železničních tratí z Plzně přes N...
Západné Turecko včera zasiahli silné otrasy zeme Zranilo sa 22 ľudí a 3 budovy sa zrútili Úrady varu...
Hurikán Melissa si vyžádal již sedm obětí, v úterý by měl zasáhnout Jamajku, později během dne Kubu....
Hurikán Melissa míří k Jamajce, karibský ostrov hlásí tři oběti. Jedná se o nejsilnější bouři za let...
Západ Turecka v noci z pondělka na úterý zasáhlo zemětřesení o síle 6. Zatím nejsou žádné informace ...
Západ Turecka zasáhlo zemětřesení o síle šesti stupňů. V důsledku zemětřesení, které bylo cítit i v ...
Severním Karibikem směrem k Jamajce postupuje hurikán nejsilnější páté kategorie Melissa. Ostrov by ...
Před patnácti lety hasiči zasahovali u jednoho z nejtragičtějších požárů v historii samostatné České...
Západ Turecka v noci z pondělka na úterý zasáhlo zemětřesení o síle 6. Zatím nejsou žádné informace ...